पीएम मोदी से मिलने पहुंचे जापान के टॉप बिजनेसमैन, नई…
उमाकांत त्रिपाठी। प्रधानमंत्री नरेंद्र मोदी ने गुरुवार को नई दिल्ली में जापान के एक उच्चस्तरीय…
उमाकांत त्रिपाठी। प्रधानमंत्री नरेंद्र मोदी ने गुरुवार को नई दिल्ली में जापान के एक उच्चस्तरीय…
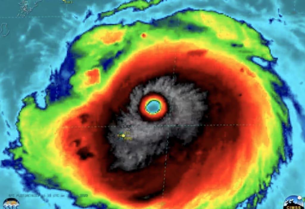
साल-2022 का सबसे शक्तिशाली ट्रॉपिकल तूफान 'सुपर टाइफून हिनामनोर' पश्चिम प्रशांत महासागर…
अमेरिका के विदेश मंत्री एंटनी ब्लिंकन जापान के पूर्व प्रधानमंत्री शिंजो आबे को श्रद्धांजलि देने के…
Welcome, Login to your account.
Welcome, Create your new account
A password will be e-mailed to you.